
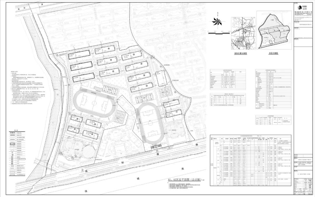
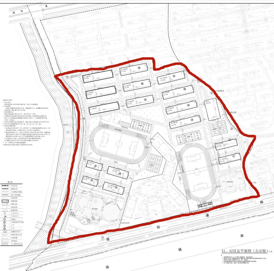
6月28日,桂林市自然资源局公示了《玉圭园·环球名胜(桂林科技新城软件外包与人才培训输出基地)规划调整总平面图》。
这意味着,承载着桂林人夏日狂欢记忆的玉圭园即将消失,加上近段时间桂林融创国际旅游度假区文旅项目开城的巨大冲击,玉圭园突破经营瓶颈,寻找新的出路。

桂林这个水上乐园曾经吸引全城目光
玉圭园· 环球名胜项目是《桂林国际旅游胜地建设发展规划纲要》获批后首个启动的大型文旅项目。该项目主题乐园建有目前国内最大的海啸造浪池,以及独创的室内温泉“千人比基尼水迪厅”成为项目最大的亮点。

按照当时的构想,玉圭园集团计划投资300多亿元人民币,占地2000多亩,建设 “环球名胜” 旅游综合体。
定位于打造中国最佳“全球旅游、度假、娱乐目的地”的前景目标,由两个主题乐园、超大型商业综合体、休闲度假酒店、国际会议中心、动漫影视歌剧院、生态养生区组成。

然而,由于水上项目的局限性和季节性,让其经营进展进程并没有那么顺利,在磨耗掉游客的新鲜感之后,水上乐园的冷寂可想而知。
项目用地改建在即,将建成最大中小学
根据桂林市自然资源局的公示调整方案,规划用地功能主要分为小学、初中和高中三部分。规划调整主要内容包括:
1.将原规划于C区的中小学调整至A1、A2区;2. A1地块水上乐园、A2地块商业区为本次规划调整范围。

调整后规划总用地面积21.32万平方米(约合320亩),总建筑面积31.71万平方米(其中新建建筑面积16.49万平方米)。将新建两座拥有400米标准跑道的多功能运动场,体育馆、综合楼、教学楼、师生宿舍等等。
规划小学39班,学生总数1755人,教师93人;初中39班,学生总数1950人,教师145人;高中87班,学生总数4350人,教师348人。其中小学为非寄宿制,初中和高中为全寄宿制。

全体学生总数8055人,教师586人。算上后勤保障人员,未来建成后这里将成为可容纳万人学习、工作、生活的“超级校园”。就目前桂林的教育规划来看,规划中的这所学校无论是占地面积还是师生人数,几乎无人能出其右。
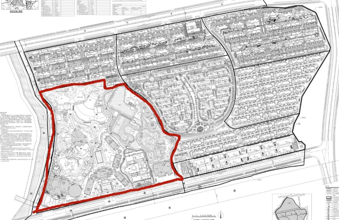
对比了去年公布的《玉圭园·环球名胜项目A3、B-1、B-2区域修建性详细规划调整》,注意到此次拟建学校的范围恰恰就是已建成的水上乐园部分。

除了酒店、配套商业设施需要保留之外,其余建筑都有可能拆除。也就是说,如果推进顺利,不少桂林人记忆中的“水上乐园“或许明年将消失。

文旅项目转型成为教育产业项目,未尝不是一条好的出路。对于桂林这个“水上乐园”的转型,你期待吗?